Grodzisko stożkowate w Krynicznie, datowane na XIV w., zachowane jest w postaci kopca założonego na planie czworoboku z zaokrąglonymi narożami o wymiarach u podstawy 27 x 32 m, u góry 16 x 20 m i wysokości ok. 2-2,5 m. Podczas badań powierzchniowych na terenie grodziska pozyskano fragmenty ceramiki kremowej i stalowoszarej, gwoździe oraz żelazną sprzączkę, datowane ogólnie na XIV w.
| Lokalizacja | woj. dolnośląskie, pow. średzki, gm. Środa Śląska, |
|---|---|
| Współrzędne | 51.126111 N, 16.627222 E |
| Obszar AZP | 79-24 |
| Chronologia | późne średniowiecze |
| Autorzy | Dominik Nowakowski |
| Data udostępnienia | 27.12.2023 |
Jak cytować?
Zdjęcia, ryciny, ilustracje, plany, przekroje, etc. – jak w podpisach
Opis
Przynależność administracyjna
Obecna: Kryniczno (Krintsch, Kr. Neumarkt, MBL. 4865), gm. Środa Śląska, pow. średzki, woj. Dolnośląskie;
Obiekt w ewidencji konserwatorskiej funkcjonuje jako grodzisko stożkowate w Jugowcu. Stan. 14, AZP 52/79-24
Przynależność historyczna: księstwo wrocławskie
Lokalizacja
W obrębie podmokłej doliny Dojcy, na krawędzi lasu, ok. 2,25 km na W od wsi
Wybór źródeł do dziejów miejscowości i dóbr ziemskich:
Obiekt identyfikować należy prawdopodobnie z zaginionym folwarkiem Windmühl.
- 1245-1249 – wieś biskupia Crinichino, Crinizno (SUb, II, nr 187, 361)
- 1298 – wzmiankowany pleban biskupi Jan de Crinichno (KH, s. 165)
- 1300 – biskup Jan potwierdził braciom Konradowi, Piotrowi i Kunczkowi posiadanie zakupionego od mieszczanina średzkiego Hermana z Kostomłotów zniszczonego folwarku Proscow, położonego opodal wsi biskupiej Kryniczno oraz dwóch młynów wietrznego i wodnego obciążonych obowiązkiem służby dworskiej na rzecz biskupa (SUb, VI, nr 450)
- 1305 – wymienione allodium domini Conradi położone opodal Kryniczna (LF, D, 118)
- 1338 – Konrad pleban w Krynicznie z wujem Marcinem de Wintmol i Paszkiem Swencz weszli w posiadanie młyna zw. Slenczine mol, położonego opodal wsi Chwalimierz, z jazem i wszystkimi przynależnościami na prawach jakie posiadał wcześniej Wojsław Krzykała (RS 6041)
- 1344 – Konrad Falkenhain sprzedał wieś Raszków Konradowi de Krincz i Marcinowi, synowi Konrada de Windmoel oraz ich siostrom Elżbiecie i Katarzynie (RF, III, 2061)
- 1346 – Anna, Elżbieta i Katarzyna, córki Konrada de Windmöel, sprzedały 8 łanów w Raszkowie (RF, III, 2061)
- 1353 – Wintmol vasalli (RWN, s. 133).
Opis obiektu
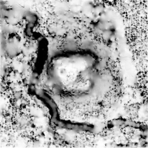
Grodzisko stożkowate w Krynicznie, zachowane w formie kopca, zostało założone na planie czworoboku z zaokrąglonymi narożami. Wymiary tego kopca u podstawy wynoszą 27 x 32 metry, a u góry 16 x 20 metrów, przy wysokości około 2-2,5 metra. Nasyp od północy, wschodu i południa otacza fosa o szerokości 10-13 metrów, natomiast od zachodu przylega koryto cieku wodnego. W odległości 25 metrów na zachód od kopca widoczna jest ziemna grobla, przecinająca dolinę potoku.
Podczas badań powierzchniowych na terenie grodziska pozyskano fragmenty ceramiki kremowej i stalowoszarej, gwoździe oraz żelazną sprzączkę. Na podstawie tych znalezisk materiały te datowane są ogólnie na XIV wiek, co świadczy o długiej historii tego miejsca i jego znaczeniu w regionalnej przestrzeni historycznej.
Ilustracje
Ilustracje




Dokumentacja w ramach projektu „Od grodu do zamku“
![KRYNICZNO, cieniowany model reliefu otoczenia stanowiska (oprac. M. Legut-Pintal, P. Rajski, Katalog Zamków i Dworów Obronnych Śląska [https://zamki.pwr.edu.pl/]. Licencja: CC BY-SA 4.0 [https://creativecommons.org/licenses/by-nc/4.0/])](https://zamki.pwr.edu.pl/wp-content/uploads/2024/01/KRYNICZNO-166_0-1024x823.jpg)
![KRYNICZNO, cieniowany model reliefu stanowiska (oprac. M. Legut-Pintal, P. Rajski, Katalog Zamków i Dworów Obronnych Śląska [https://zamki.pwr.edu.pl/]. Licencja: CC BY-SA 4.0 [https://creativecommons.org/licenses/by-nc/4.0/])](https://zamki.pwr.edu.pl/wp-content/uploads/2024/01/KRYNICZNO-166_3-1024x784.jpg)
![KRYNICZNO, plan warstwicowy otoczenia stanowiska (oprac. M. Legut-Pintal, P. Rajski, Katalog Zamków i Dworów Obronnych Śląska [https://zamki.pwr.edu.pl/]. Licencja: CC BY-SA 4.0 [https://creativecommons.org/licenses/by-nc/4.0/])](https://zamki.pwr.edu.pl/wp-content/uploads/2024/01/KRYNICZNO-166_1-1024x930.jpg)
![KRYNICZNO, plan warstwicowy stanowiska (oprac. M. Legut-Pintal, P. Rajski, Katalog Zamków i Dworów Obronnych Śląska [https://zamki.pwr.edu.pl/]. Licencja: CC BY-SA 4.0 [https://creativecommons.org/licenses/by-nc/4.0/])](https://zamki.pwr.edu.pl/wp-content/uploads/2024/01/KRYNICZNO-166_6-1024x985.jpg)
![KRYNICZNO , sky view factor (stopień widoczności nieba) otoczenia stanowiska na podstawie numerycznego modelu terenu (oprac. M. Legut-Pintal, P. Rajski, Katalog Zamków i Dworów Obronnych Śląska [https://zamki.pwr.edu.pl/]. Licencja: CC BY-SA 4.0 [https://creativecommons.org/licenses/by-nc/4.0/])](https://zamki.pwr.edu.pl/wp-content/uploads/2024/01/KRYNICZNO-166_2.jpg)
![KRYNICZNO, sky view factor (stopień widoczności nieba) na podstawie numerycznego modelu terenu (oprac. M. Legut-Pintal, P. Rajski, Katalog Zamków i Dworów Obronnych Śląska [https://zamki.pwr.edu.pl/]. Licencja: CC BY-SA 4.0 [https://creativecommons.org/licenses/by-nc/4.0/])](https://zamki.pwr.edu.pl/wp-content/uploads/2024/01/KRYNICZNO-166_7.jpg)
![KRYNICZNO, profil stanowiska (oprac. M. Legut-Pintal, P. Rajski, Katalog Zamków i Dworów Obronnych Śląska [https://zamki.pwr.edu.pl/]. Licencja: CC BY-SA 4.0 [https://creativecommons.org/licenses/by-nc/4.0/])](https://zamki.pwr.edu.pl/wp-content/uploads/2024/01/KRYNICZNO-166_5-1024x108.jpg)
![KRYNICZNO, profil stanowiska (oprac. M. Legut-Pintal, P. Rajski, Katalog Zamków i Dworów Obronnych Śląska [https://zamki.pwr.edu.pl/]. Licencja: CC BY-SA 4.0 [https://creativecommons.org/licenses/by-nc/4.0/])](https://zamki.pwr.edu.pl/wp-content/uploads/2024/01/KRYNICZNO-166_4-1024x112.jpg)
Literatura
Wzmianki konkretnie o tym obiekcie
Nowakowski 2017, s. 340
Śląskie obiekty typu motte. Studium archeologiczno-historyczne Book
2017.
CDS XIV = Codex Diplomaticus Silesiae, Liber Fundationis Episcopatus Vratislaviensis, Bd. XIV Collection
Liber Fundationis Episcopatus Vratislaviensis, Breslau, 1889, (także skrótowo jako LfeV; Lf; LF).
CDS XXIX = Codex Diplomaticus Silesiae, Regesten zur schlesischen Geschichte, Bd. XXIX: 1334-1337 (RS nr 5279-6020) Collection
Breslau, 1923, (używany również skrót 'RS').
RWN = Registrum villarum, allodiarum et jurium ducatus Wratislaviensis et districtus Nampslaviensis Journal Article
In: Übersicht der Arbeiten und Veränderungen der Schlesischen Gesellschaft für Vaterländische Kultur im Jahre 1842, pp. 60-141, 1843.
SUb II = Schlesisches Urkundenbuch. Bd. II: 1231-1250 Collection
Köln-Graz-Wien, 1977.
SUb VI = Schlesisches Urkundenbuch. Bd. VI: 1291-1300 Collection
Köln, 1998.
KH = Księga henrykowska Collection
Wrocław, 1991.
RF = Repertorium Frobenianum (Repertorium Investiturarum in Praediis Ducatus Vratislaviensis, quae in Libris eiusdem Cancellariae continentur), t. 1-4 Collection
0000, (APWr., Akta miasta Wrocławia, sygn. C 24/I–IV).

![KRYNICZNO , sky view factor (stopień widoczności nieba) otoczenia stanowiska na podstawie numerycznego modelu terenu (oprac. M. Legut-Pintal, P. Rajski, Katalog Zamków i Dworów Obronnych Śląska [https://zamki.pwr.edu.pl/]. Licencja: CC BY-SA 4.0 [https://creativecommons.org/licenses/by-nc/4.0/])](https://zamki.pwr.edu.pl/wp-content/uploads/2024/01/KRYNICZNO-166_2-300x282.jpg)
![KRYNICZNO, cieniowany model reliefu otoczenia stanowiska (oprac. M. Legut-Pintal, P. Rajski, Katalog Zamków i Dworów Obronnych Śląska [https://zamki.pwr.edu.pl/]. Licencja: CC BY-SA 4.0 [https://creativecommons.org/licenses/by-nc/4.0/])](https://zamki.pwr.edu.pl/wp-content/uploads/2024/01/KRYNICZNO-166_0-300x241.jpg)
![KRYNICZNO, cieniowany model reliefu stanowiska (oprac. M. Legut-Pintal, P. Rajski, Katalog Zamków i Dworów Obronnych Śląska [https://zamki.pwr.edu.pl/]. Licencja: CC BY-SA 4.0 [https://creativecommons.org/licenses/by-nc/4.0/])](https://zamki.pwr.edu.pl/wp-content/uploads/2024/01/KRYNICZNO-166_3-300x230.jpg)


![KRYNICZNO, plan warstwicowy otoczenia stanowiska (oprac. M. Legut-Pintal, P. Rajski, Katalog Zamków i Dworów Obronnych Śląska [https://zamki.pwr.edu.pl/]. Licencja: CC BY-SA 4.0 [https://creativecommons.org/licenses/by-nc/4.0/])](https://zamki.pwr.edu.pl/wp-content/uploads/2024/01/KRYNICZNO-166_1-300x273.jpg)
![KRYNICZNO, plan warstwicowy stanowiska (oprac. M. Legut-Pintal, P. Rajski, Katalog Zamków i Dworów Obronnych Śląska [https://zamki.pwr.edu.pl/]. Licencja: CC BY-SA 4.0 [https://creativecommons.org/licenses/by-nc/4.0/])](https://zamki.pwr.edu.pl/wp-content/uploads/2024/01/KRYNICZNO-166_6-300x289.jpg)
![KRYNICZNO, profil stanowiska (oprac. M. Legut-Pintal, P. Rajski, Katalog Zamków i Dworów Obronnych Śląska [https://zamki.pwr.edu.pl/]. Licencja: CC BY-SA 4.0 [https://creativecommons.org/licenses/by-nc/4.0/])](https://zamki.pwr.edu.pl/wp-content/uploads/2024/01/KRYNICZNO-166_4-300x33.jpg)
![KRYNICZNO, profil stanowiska (oprac. M. Legut-Pintal, P. Rajski, Katalog Zamków i Dworów Obronnych Śląska [https://zamki.pwr.edu.pl/]. Licencja: CC BY-SA 4.0 [https://creativecommons.org/licenses/by-nc/4.0/])](https://zamki.pwr.edu.pl/wp-content/uploads/2024/01/KRYNICZNO-166_5-300x32.jpg)
![KRYNICZNO, sky view factor (stopień widoczności nieba) na podstawie numerycznego modelu terenu (oprac. M. Legut-Pintal, P. Rajski, Katalog Zamków i Dworów Obronnych Śląska [https://zamki.pwr.edu.pl/]. Licencja: CC BY-SA 4.0 [https://creativecommons.org/licenses/by-nc/4.0/])](https://zamki.pwr.edu.pl/wp-content/uploads/2024/01/KRYNICZNO-166_7-300x300.jpg)



![WRONÓW, st. 1, model cieniowanego reliefu stanowiska (oprac. M. Legut-Pintal, Katalog Zamków i Dworów Obronnych Śląska [https://zamki.pwr.edu.pl/]. Licencja: CC BY-NC 4.0 [https://creativecommons.org/licenses/by-nc/4.0/])](https://zamki.pwr.edu.pl/wp-content/uploads/2026/01/3_wronow_100_kolor-300x224.png)

